171 Cook Rd, Shelter Cove, CA, 95589






171 Cook Rd, Shelter Cove, CA, 95589

171 Cook Rd, Shelter Cove, CA, 95589






Your Trusted
Real Estate Agents
171 Cook Rd, Shelter Cove, CA, 95589
Price:
Price:
$85,000.00
$85,000.00
General
Information
General
Information
0
0
Beds
Beds
0
0
Baths
Baths
0
0
Sq. Ft.
Sq. Ft.
0.33
0.33
Lot Size
Lot Size
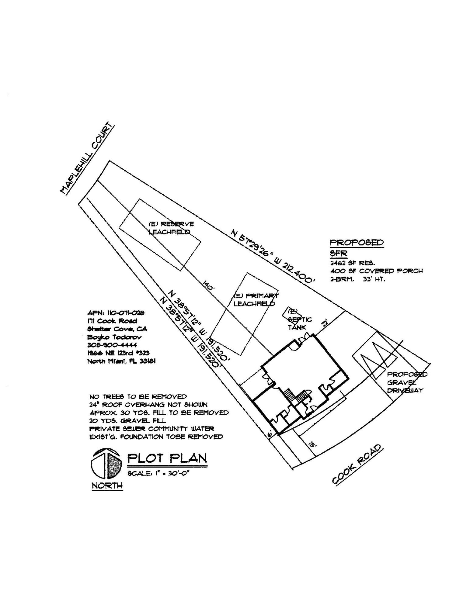
Here is one of those wow lots with a huge north coast view of the kings range. The septic is already installed and there are plans for a home onsite. Construction started and the foundation was poured. All work stopped when the owner got sick. Plot plans are in this ad. The project came to a quick stop in 2017. Plans and permits will have to be resubmitted. The lot need brush management done now . Owner is looking for an offer!
Here is one of those wow lots with a huge north coast view of the kings range. The septic is already installed and there are plans for a home onsite. Construction started and the foundation was poured. All work stopped when the owner got sick. Plot plans are in this ad. The project came to a quick stop in 2017. Plans and permits will have to be resubmitted. The lot need brush management done now . Owner is looking for an offer!




Listing courtesy of
Listing courtesy of
Vern Bonham III
Vern Bonham III
Shelter Cove Realty
Shelter Cove Realty
Interested in this home?
Stay in control of how, when, and where your home is marketed with a strategy tailored to fit your needs.
Interested in this home?
Stay in control of how, when, and where your home is marketed with a strategy tailored to fit your needs.
Interested in this home?
Stay in control of how, when, and where your home is marketed with a strategy tailored to fit your needs.

b
Testimonials
Our Clients
Our clients consistently share that working with our team feels personal, professional, and truly supportive. From helping sellers get offers after months on the market to guiding first-time buyers through every step, our agents are praised for their local expertise, responsiveness, and genuine care for every client’s goals.
Q
FREQUENT QUESTIONS
Frequently Asked Questions
Have questions about buying or selling a home? These are the most common ones to help you navigate the process with ease. If you need more details, feel free to reach out!
Where do I begin with home searching?
Will I receive alerts when homes hit the market?
Do you work with first-time buyers?
How much should I budget for closing costs?
Do you help with inspections and referrals to local services?
How soon can I view homes in person?
Q
FREQUENT QUESTIONS
Frequently Asked Questions
Have questions about buying or selling a home? These are the most common ones to help you navigate the process with ease. If you need more details, feel free to reach out!
Where do I begin with home searching?
Will I receive alerts when homes hit the market?
Do you work with first-time buyers?
How much should I budget for closing costs?
Do you help with inspections and referrals to local services?
How soon can I view homes in person?
Q
FREQUENT QUESTIONS
Frequently Asked Questions
Have questions about buying or selling a home? These are the most common ones to help you navigate the process with ease. If you need more details, feel free to reach out!
Where do I begin with home searching?
Will I receive alerts when homes hit the market?
Do you work with first-time buyers?
How much should I budget for closing costs?
Do you help with inspections and referrals to local services?
How soon can I view homes in person?
